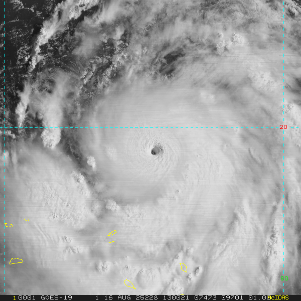
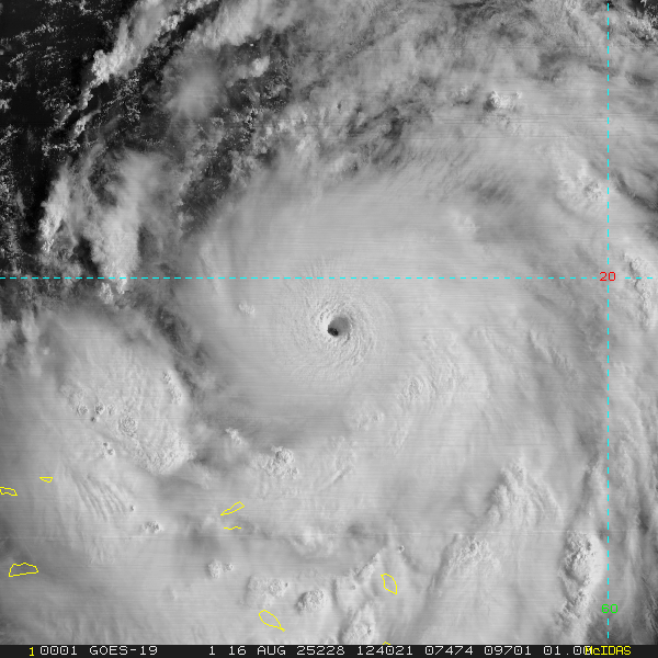
Storm Relative 1 km Geostationary Visible Imagery - Archive
To view a loop of all images from this storm, click any of the "Loop" buttons without selecting any specific images. To select a specific range of images click an option for "Starting Image" and "Ending Image", and then click any of the "Loop" buttons.
Clicking on an "Image" link will display the image for that specific synoptic time.

