Regional and Mesoscale Meteorology Branch

TC Realtime

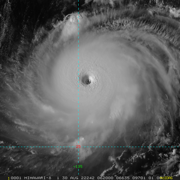
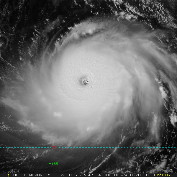
WP122022 - Typhoon (>=96 kt) HINNAMNOR - Archive

Storm Relative 1 km Geostationary Visible Imagery - Archive

About This Product

To view a loop of all images from this storm, click any of the "Loop" buttons without selecting any specific images. To select a specific range of images click an option for "Starting Image" and "Ending Image", and then click any of the "Loop" buttons.

Clicking on an "Image" link will display the image for that specific synoptic time.

Synoptic Time Starting Image Ending Image Display Loop Display Image
2022-08-28 08:00 Image
2022-08-28 08:10 Image
2022-08-28 20:00 Image
2022-08-28 20:10 Image
2022-08-28 20:20 Image
2022-08-28 20:30 Image
2022-08-28 20:40 Image
2022-08-28 20:50 Image
2022-08-28 21:00 Image
2022-08-28 21:10 Image
2022-08-28 21:20 Image
2022-08-28 21:30 Image
2022-08-28 21:40 Image
2022-08-28 21:50 Image
2022-08-28 22:00 Image
2022-08-28 22:10 Image
2022-08-28 22:20 Image
2022-08-28 22:30 Image
2022-08-28 22:40 Image
2022-08-28 22:50 Image
2022-08-28 23:00 Image
2022-08-28 23:10 Image
2022-08-28 23:20 Image
2022-08-28 23:30 Image
2022-08-28 23:40 Image
2022-08-28 23:50 Image
2022-08-29 00:00 Image
2022-08-29 00:10 Image
2022-08-29 00:20 Image
2022-08-29 00:30 Image
2022-08-29 00:40 Image
2022-08-29 00:50 Image
2022-08-29 01:00 Image
2022-08-29 01:10 Image
2022-08-29 01:20 Image
2022-08-29 01:30 Image
2022-08-29 01:40 Image
2022-08-29 01:50 Image
2022-08-29 02:00 Image
2022-08-29 02:10 Image
2022-08-29 02:20 Image
2022-08-29 02:30 Image
2022-08-29 02:50 Image
2022-08-29 03:00 Image
2022-08-29 03:10 Image
2022-08-29 03:20 Image
2022-08-29 03:30 Image
2022-08-29 03:40 Image
2022-08-29 03:50 Image
2022-08-29 04:00 Image
2022-08-29 04:10 Image
2022-08-29 04:20 Image
2022-08-29 04:30 Image
2022-08-29 04:40 Image
2022-08-29 04:50 Image
2022-08-29 05:00 Image
2022-08-29 05:10 Image
2022-08-29 05:20 Image
2022-08-29 05:30 Image
2022-08-29 05:40 Image
2022-08-29 05:50 Image
2022-08-29 06:00 Image
2022-08-29 06:10 Image
2022-08-29 06:20 Image
2022-08-29 06:30 Image
2022-08-29 06:40 Image
2022-08-29 06:50 Image
2022-08-29 07:00 Image
2022-08-29 07:10 Image
2022-08-29 07:20 Image
2022-08-29 07:30 Image
2022-08-29 07:40 Image
2022-08-29 07:50 Image
2022-08-29 08:00 Image
2022-08-29 08:10 Image
2022-08-29 08:20 Image
2022-08-29 08:30 Image
2022-08-29 08:40 Image
2022-08-29 20:40 Image
2022-08-29 20:50 Image
2022-08-29 21:00 Image
2022-08-29 21:10 Image
2022-08-29 21:20 Image
2022-08-29 21:30 Image
2022-08-29 21:40 Image
2022-08-29 21:50 Image
2022-08-29 22:00 Image
2022-08-29 22:10 Image
2022-08-29 22:20 Image
2022-08-29 22:30 Image
2022-08-29 22:40 Image
2022-08-29 22:50 Image
2022-08-29 23:00 Image
2022-08-29 23:10 Image
2022-08-29 23:20 Image
2022-08-29 23:30 Image
2022-08-29 23:40 Image
2022-08-29 23:50 Image
2022-08-30 00:00 Image
2022-08-30 00:10 Image
2022-08-30 00:20 Image
2022-08-30 00:30 Image
2022-08-30 00:40 Image
2022-08-30 00:50 Image
2022-08-30 01:00 Image
2022-08-30 01:10 Image
2022-08-30 01:20 Image
2022-08-30 01:30 Image
2022-08-30 01:40 Image
2022-08-30 01:50 Image
2022-08-30 02:00 Image
2022-08-30 02:10 Image
2022-08-30 02:20 Image
2022-08-30 02:30 Image
2022-08-30 02:50 Image
2022-08-30 03:00 Image
2022-08-30 03:10 Image
2022-08-30 03:20 Image
2022-08-30 03:30 Image
2022-08-30 03:40 Image
2022-08-30 03:50 Image
2022-08-30 04:00 Image
2022-08-30 04:10 Image
2022-08-30 04:20 Image
2022-08-30 04:30 Image
2022-08-30 04:40 Image
2022-08-30 04:50 Image
2022-08-30 05:00 Image
2022-08-30 05:10 Image
2022-08-30 05:20 Image
2022-08-30 05:30 Image
2022-08-30 05:40 Image
2022-08-30 05:50 Image
2022-08-30 06:00 Image
2022-08-30 06:10 Image
2022-08-30 06:20 Image
2022-08-30 06:30 Image
2022-08-30 06:40 Image
2022-08-30 06:50 Image
2022-08-30 07:00 Image
2022-08-30 07:10 Image
2022-08-30 07:20 Image
2022-08-30 07:30 Image
2022-08-30 07:40 Image
2022-08-30 07:50 Image
2022-08-30 08:00 Image
2022-08-30 08:10 Image
2022-08-30 08:20 Image
2022-08-30 08:30 Image
2022-08-30 08:40 Image
2022-08-30 08:50 Image
2022-08-30 09:00 Image
2022-08-30 09:10 Image
2022-08-30 21:10 Image
2022-08-30 21:20 Image
2022-08-30 21:30 Image
2022-08-30 21:40 Image
2022-08-30 21:50 Image
2022-08-30 22:00 Image
2022-08-30 22:10 Image
2022-08-30 22:20 Image
2022-08-30 22:30 Image
2022-08-30 22:40 Image
2022-08-30 22:50 Image
2022-08-30 23:00 Image
2022-08-30 23:10 Image
2022-08-30 23:20 Image
2022-08-30 23:30 Image
2022-08-30 23:40 Image
2022-08-30 23:50 Image
2022-08-31 00:00 Image
2022-08-31 00:10 Image
2022-08-31 00:20 Image
2022-08-31 00:30 Image
2022-08-31 00:40 Image
2022-08-31 00:50 Image
2022-08-31 01:00 Image
2022-08-31 01:10 Image
2022-08-31 01:20 Image
2022-08-31 01:30 Image
2022-08-31 01:40 Image
2022-08-31 01:50 Image
2022-08-31 02:00 Image
2022-08-31 02:10 Image
2022-08-31 02:20 Image
2022-08-31 02:30 Image
2022-08-31 02:50 Image
2022-08-31 03:00 Image
2022-08-31 03:10 Image
2022-08-31 03:20 Image
2022-08-31 03:30 Image
2022-08-31 03:40 Image
2022-08-31 03:50 Image
2022-08-31 04:00 Image
2022-08-31 04:10 Image
2022-08-31 04:20 Image
2022-08-31 04:30 Image
2022-08-31 04:40 Image
2022-08-31 04:50 Image
2022-08-31 05:00 Image
2022-08-31 05:10 Image
2022-08-31 05:20 Image
2022-08-31 05:30 Image
2022-08-31 05:40 Image
2022-08-31 05:50 Image
2022-08-31 06:00 Image
2022-08-31 06:10 Image
2022-08-31 06:20 Image
2022-08-31 06:30 Image
2022-08-31 06:40 Image
2022-08-31 06:50 Image
2022-08-31 07:00 Image
2022-08-31 07:10 Image
2022-08-31 07:20 Image
2022-08-31 07:30 Image
2022-08-31 07:40 Image
2022-08-31 07:50 Image
2022-08-31 08:00 Image
2022-08-31 08:10 Image
2022-08-31 08:20 Image
2022-08-31 08:30 Image
2022-08-31 08:40 Image
2022-08-31 08:50 Image
2022-08-31 09:00 Image
2022-08-31 09:10 Image
2022-08-31 09:20 Image
2022-08-31 09:30 Image
2022-08-31 21:30 Image
2022-08-31 21:40 Image
2022-08-31 21:50 Image
2022-08-31 22:00 Image
2022-08-31 22:10 Image
2022-08-31 22:20 Image
2022-08-31 22:30 Image
2022-08-31 22:40 Image
2022-08-31 22:50 Image
2022-08-31 23:00 Image
2022-08-31 23:10 Image
2022-08-31 23:20 Image
2022-08-31 23:30 Image
2022-08-31 23:40 Image
2022-08-31 23:50 Image
2022-09-01 00:00 Image
2022-09-01 00:10 Image
2022-09-01 00:20 Image
2022-09-01 00:30 Image
2022-09-01 00:40 Image
2022-09-01 00:50 Image
2022-09-01 01:00 Image
2022-09-01 01:10 Image
2022-09-01 01:20 Image
2022-09-01 01:30 Image
2022-09-01 01:40 Image
2022-09-01 01:50 Image
2022-09-01 02:00 Image
2022-09-01 02:10 Image
2022-09-01 02:20 Image
2022-09-01 02:30 Image
2022-09-01 02:50 Image
2022-09-01 03:00 Image
2022-09-01 03:10 Image
2022-09-01 03:20 Image
2022-09-01 03:30 Image
2022-09-01 03:40 Image
2022-09-01 03:50 Image
2022-09-01 04:00 Image
2022-09-01 04:10 Image
2022-09-01 04:20 Image
2022-09-01 04:30 Image
2022-09-01 04:40 Image
2022-09-01 04:50 Image
2022-09-01 05:00 Image
2022-09-01 05:10 Image
2022-09-01 05:20 Image
2022-09-01 05:30 Image
2022-09-01 05:40 Image
2022-09-01 05:50 Image
2022-09-01 06:00 Image
2022-09-01 06:10 Image
2022-09-01 06:20 Image
2022-09-01 06:30 Image
2022-09-01 06:40 Image
2022-09-01 06:50 Image
2022-09-01 07:00 Image
2022-09-01 07:10 Image
2022-09-01 07:20 Image
2022-09-01 07:30 Image
2022-09-01 07:40 Image
2022-09-01 07:50 Image
2022-09-01 08:00 Image
2022-09-01 08:10 Image
2022-09-01 08:20 Image
2022-09-01 08:30 Image
2022-09-01 08:40 Image
2022-09-01 08:50 Image
2022-09-01 09:00 Image
2022-09-01 09:10 Image
2022-09-01 09:20 Image
2022-09-01 09:30 Image
2022-09-01 09:40 Image
2022-09-01 21:30 Image
2022-09-01 21:40 Image
2022-09-01 21:50 Image
2022-09-01 22:00 Image
2022-09-01 22:10 Image
2022-09-01 22:20 Image
2022-09-01 22:30 Image
2022-09-01 22:40 Image
2022-09-01 22:50 Image
2022-09-01 23:00 Image
2022-09-01 23:10 Image
2022-09-01 23:20 Image
2022-09-01 23:30 Image
2022-09-01 23:40 Image
2022-09-01 23:50 Image
2022-09-02 00:00 Image
2022-09-02 00:10 Image
2022-09-02 00:20 Image
2022-09-02 00:30 Image
2022-09-02 00:40 Image
2022-09-02 00:50 Image
2022-09-02 01:00 Image
2022-09-02 01:10 Image
2022-09-02 01:20 Image
2022-09-02 01:30 Image
2022-09-02 01:40 Image
2022-09-02 01:50 Image
2022-09-02 02:00 Image
2022-09-02 02:10 Image
2022-09-02 02:20 Image
2022-09-02 02:30 Image
2022-09-02 02:50 Image
2022-09-02 03:00 Image
2022-09-02 03:10 Image
2022-09-02 03:20 Image
2022-09-02 03:30 Image
2022-09-02 03:40 Image
2022-09-02 03:50 Image
2022-09-02 04:00 Image
2022-09-02 04:10 Image
2022-09-02 04:20 Image
2022-09-02 04:30 Image
2022-09-02 04:40 Image
2022-09-02 04:50 Image
2022-09-02 05:00 Image
2022-09-02 05:10 Image
2022-09-02 05:20 Image
2022-09-02 05:30 Image
2022-09-02 05:40 Image
2022-09-02 05:50 Image
2022-09-02 06:00 Image
2022-09-02 06:10 Image
2022-09-02 06:20 Image
2022-09-02 06:30 Image
2022-09-02 06:40 Image
2022-09-02 06:50 Image
2022-09-02 07:00 Image
2022-09-02 07:10 Image
2022-09-02 07:20 Image
2022-09-02 07:30 Image
2022-09-02 07:40 Image
2022-09-02 07:50 Image
2022-09-02 08:00 Image
2022-09-02 08:10 Image
2022-09-02 08:20 Image
2022-09-02 08:30 Image
2022-09-02 08:40 Image
2022-09-02 08:50 Image
2022-09-02 09:00 Image
2022-09-02 09:10 Image
2022-09-02 09:20 Image
2022-09-02 09:30 Image
2022-09-02 09:40 Image
2022-09-02 21:30 Image
2022-09-02 21:40 Image
2022-09-02 21:50 Image
2022-09-02 22:00 Image
2022-09-02 22:10 Image
2022-09-02 22:20 Image
2022-09-02 22:30 Image
2022-09-02 22:40 Image
2022-09-02 22:50 Image
2022-09-02 23:00 Image
2022-09-02 23:10 Image
2022-09-02 23:20 Image
2022-09-02 23:30 Image
2022-09-02 23:40 Image
2022-09-02 23:50 Image
2022-09-03 00:00 Image
2022-09-03 00:10 Image
2022-09-03 00:20 Image
2022-09-03 00:30 Image
2022-09-03 00:40 Image
2022-09-03 00:50 Image
2022-09-03 01:00 Image
2022-09-03 01:10 Image
2022-09-03 01:20 Image
2022-09-03 01:30 Image
2022-09-03 01:40 Image
2022-09-03 01:50 Image
2022-09-03 02:00 Image
2022-09-03 02:10 Image
2022-09-03 02:20 Image
2022-09-03 02:30 Image
2022-09-03 02:50 Image
2022-09-03 03:00 Image
2022-09-03 03:10 Image
2022-09-03 03:20 Image
2022-09-03 03:30 Image
2022-09-03 03:40 Image
2022-09-03 03:50 Image
2022-09-03 04:00 Image
2022-09-03 04:10 Image
2022-09-03 04:20 Image
2022-09-03 04:30 Image
2022-09-03 04:40 Image
2022-09-03 04:50 Image
2022-09-03 05:00 Image
2022-09-03 05:10 Image
2022-09-03 05:20 Image
2022-09-03 05:30 Image
2022-09-03 05:40 Image
2022-09-03 05:50 Image
2022-09-03 06:00 Image
2022-09-03 06:10 Image
2022-09-03 06:20 Image
2022-09-03 06:30 Image
2022-09-03 06:40 Image
2022-09-03 06:50 Image
2022-09-03 07:00 Image
2022-09-03 07:10 Image
2022-09-03 07:20 Image
2022-09-03 07:30 Image
2022-09-03 07:40 Image
2022-09-03 07:50 Image
2022-09-03 08:00 Image
2022-09-03 08:10 Image
2022-09-03 08:20 Image
2022-09-03 08:30 Image
2022-09-03 08:40 Image
2022-09-03 08:50 Image
2022-09-03 09:00 Image
2022-09-03 09:10 Image
2022-09-03 09:20 Image
2022-09-03 09:30 Image
2022-09-03 09:40 Image
2022-09-03 09:50 Image
2022-09-03 21:30 Image
2022-09-03 21:40 Image
2022-09-03 21:50 Image
2022-09-03 22:00 Image
2022-09-03 22:10 Image
2022-09-03 22:20 Image
2022-09-03 22:30 Image
2022-09-03 22:40 Image
2022-09-03 22:50 Image
2022-09-03 23:00 Image
2022-09-03 23:10 Image
2022-09-03 23:20 Image
2022-09-03 23:30 Image
2022-09-03 23:40 Image
2022-09-03 23:50 Image
2022-09-04 00:00 Image
2022-09-04 00:10 Image
2022-09-04 00:20 Image
2022-09-04 00:30 Image
2022-09-04 00:40 Image
2022-09-04 00:50 Image
2022-09-04 01:00 Image
2022-09-04 01:10 Image
2022-09-04 01:20 Image
2022-09-04 01:30 Image
2022-09-04 01:40 Image
2022-09-04 01:50 Image
2022-09-04 02:00 Image
2022-09-04 02:10 Image
2022-09-04 02:20 Image
2022-09-04 02:30 Image
2022-09-04 02:50 Image
2022-09-04 03:00 Image
2022-09-04 03:10 Image
2022-09-04 03:20 Image
2022-09-04 03:30 Image
2022-09-04 03:40 Image
2022-09-04 03:50 Image
2022-09-04 04:00 Image
2022-09-04 04:10 Image
2022-09-04 04:20 Image
2022-09-04 04:30 Image
2022-09-04 04:40 Image
2022-09-04 04:50 Image
2022-09-04 05:00 Image
2022-09-04 05:10 Image
2022-09-04 05:20 Image
2022-09-04 05:30 Image
2022-09-04 05:40 Image
2022-09-04 05:50 Image
2022-09-04 06:00 Image
2022-09-04 06:10 Image
2022-09-04 06:20 Image
2022-09-04 06:30 Image
2022-09-04 06:40 Image
2022-09-04 06:50 Image
2022-09-04 07:00 Image
2022-09-04 07:10 Image
2022-09-04 07:20 Image
2022-09-04 07:30 Image
2022-09-04 07:40 Image
2022-09-04 07:50 Image
2022-09-04 08:00 Image
2022-09-04 08:10 Image
2022-09-04 08:20 Image
2022-09-04 08:30 Image
2022-09-04 08:40 Image
2022-09-04 08:50 Image
2022-09-04 09:00 Image
2022-09-04 09:10 Image
2022-09-04 09:20 Image
2022-09-04 09:30 Image
2022-09-04 09:40 Image
2022-09-04 09:50 Image
2022-09-04 21:30 Image
2022-09-04 21:40 Image
2022-09-04 21:50 Image
2022-09-04 22:00 Image
2022-09-04 22:10 Image
2022-09-04 22:20 Image
2022-09-04 22:30 Image
2022-09-04 22:40 Image
2022-09-04 22:50 Image
2022-09-04 23:00 Image
2022-09-04 23:10 Image
2022-09-04 23:20 Image
2022-09-04 23:30 Image
2022-09-04 23:40 Image
2022-09-04 23:50 Image
2022-09-05 00:00 Image
2022-09-05 00:10 Image
2022-09-05 00:20 Image
2022-09-05 00:30 Image
2022-09-05 00:40 Image
2022-09-05 00:50 Image
2022-09-05 01:00 Image
2022-09-05 01:10 Image
2022-09-05 01:20 Image
2022-09-05 01:30 Image
2022-09-05 01:40 Image
2022-09-05 01:50 Image
2022-09-05 02:00 Image
2022-09-05 02:10 Image
2022-09-05 02:20 Image
2022-09-05 02:30 Image
2022-09-05 02:50 Image
2022-09-05 03:00 Image
2022-09-05 03:10 Image
2022-09-05 03:20 Image
2022-09-05 03:30 Image
2022-09-05 03:40 Image
2022-09-05 03:50 Image
2022-09-05 04:00 Image
2022-09-05 04:10 Image
2022-09-05 04:20 Image
2022-09-05 04:30 Image
2022-09-05 04:40 Image
2022-09-05 04:50 Image
2022-09-05 05:00 Image
2022-09-05 05:10 Image
2022-09-05 05:20 Image
2022-09-05 05:30 Image
2022-09-05 05:40 Image
2022-09-05 05:50 Image
2022-09-05 06:00 Image
2022-09-05 06:10 Image
2022-09-05 06:20 Image
2022-09-05 06:30 Image
2022-09-05 06:40 Image
2022-09-05 06:50 Image
2022-09-05 07:00 Image
2022-09-05 07:10 Image
2022-09-05 07:20 Image
2022-09-05 07:30 Image
2022-09-05 07:40 Image
2022-09-05 07:50 Image
2022-09-05 08:00 Image
2022-09-05 08:10 Image
2022-09-05 08:20 Image
2022-09-05 08:30 Image
2022-09-05 08:40 Image
2022-09-05 08:50 Image
2022-09-05 09:00 Image
2022-09-05 09:10 Image
2022-09-05 09:20 Image
2022-09-05 09:30 Image
2022-09-05 09:40 Image
2022-09-05 21:10 Image
2022-09-05 21:20 Image
2022-09-05 21:30 Image
2022-09-05 21:40 Image
2022-09-05 21:50 Image
2022-09-05 22:00 Image
2022-09-05 22:10 Image
2022-09-05 22:20 Image
2022-09-05 22:30 Image
2022-09-05 22:40 Image
2022-09-05 22:50 Image
2022-09-05 23:00 Image
2022-09-05 23:10 Image
2022-09-05 23:20 Image
2022-09-05 23:30 Image
2022-09-05 23:40 Image
2022-09-05 23:50 Image
2022-09-06 00:00 Image
2022-09-06 00:10 Image
2022-09-06 00:20 Image
2022-09-06 00:30 Image
2022-09-06 00:40 Image
2022-09-06 00:50 Image
2022-09-06 01:00 Image
2022-09-06 01:10 Image
2022-09-06 01:20 Image
2022-09-06 01:30 Image
2022-09-06 01:40 Image
2022-09-06 01:50 Image
2022-09-06 02:00 Image
2022-09-06 02:10 Image
2022-09-06 02:20 Image
2022-09-06 02:30 Image
2022-09-06 02:50 Image
2022-09-06 03:00 Image
2022-09-06 03:10 Image
2022-09-06 03:20 Image
2022-09-06 03:30 Image
2022-09-06 03:40 Image
2022-09-06 03:50 Image
2022-09-06 04:00 Image
2022-09-06 04:10 Image
2022-09-06 04:20 Image
2022-09-06 04:30 Image
2022-09-06 04:40 Image
2022-09-06 04:50 Image
2022-09-06 05:00 Image
2022-09-06 05:10 Image
2022-09-06 05:20 Image
2022-09-06 05:30 Image
2022-09-06 05:40 Image
2022-09-06 05:50 Image
2022-09-06 06:00 Image
2022-09-06 06:10 Image
2022-09-06 06:20 Image
2022-09-06 06:30 Image
2022-09-06 06:40 Image
2022-09-06 06:50 Image
2022-09-06 07:00 Image
2022-09-06 07:10 Image
2022-09-06 07:20 Image
2022-09-06 07:30 Image
2022-09-06 07:40 Image
2022-09-06 07:50 Image
2022-09-06 08:00 Image
2022-09-06 08:10 Image
2022-09-06 08:20 Image
2022-09-06 08:30 Image
2022-09-06 08:40 Image
2022-09-06 08:50 Image
2022-09-06 09:00 Image
2022-09-06 09:10 Image
2022-09-06 09:20 Image
2022-09-06 20:10 Image
2022-09-06 20:20 Image
2022-09-06 20:30 Image
2022-09-06 20:40 Image
2022-09-06 20:50 Image
2022-09-06 21:00 Image
2022-09-06 21:10 Image
2022-09-06 21:20 Image
2022-09-06 21:30 Image
2022-09-06 21:40 Image
2022-09-06 22:00 Image
2022-09-06 22:10 Image
2022-09-06 22:20 Image
2022-09-06 22:30 Image
2022-09-06 23:00 Image
2022-09-06 23:20 Image
2022-09-06 23:30 Image
2022-09-06 23:40 Image
2022-09-06 23:50 Image
2022-09-07 00:00 Image
2022-09-07 00:10 Image
2022-09-07 00:20 Image
2022-09-07 00:30 Image
2022-09-07 00:40 Image
2022-09-07 00:50 Image
2022-09-07 01:00 Image
2022-09-07 01:10 Image
2022-09-07 01:20 Image
2022-09-07 01:30 Image
2022-09-07 01:40 Image
2022-09-07 01:50 Image
2022-09-07 02:00 Image
2022-09-07 02:10 Image
2022-09-07 02:20 Image
2022-09-07 02:30 Image
2022-09-07 02:50 Image
2022-09-07 03:00 Image
2022-09-07 03:10 Image
2022-09-07 03:20 Image
2022-09-07 03:30 Image
2022-09-07 03:40 Image
2022-09-07 03:50 Image
2022-09-07 04:30 Image
2022-09-07 04:40 Image
2022-09-07 04:50 Image
2022-09-07 05:10 Image
2022-09-07 05:20 Image
2022-09-07 05:30 Image