Geostationary Imagery
Enhanced Infrared (IR) Imagery (4 km Mercator)

Loop | Latest Image | Archive | About
Time of This Image: 2025-09-28 00:00
Storm Relative 1 km Geostationary Visible Imagery

Loop | Latest Image | Archive | About
Time of This Image: 2025-09-28 10:16
2 km Storm Relative IR Imagery with BD Enhancement Curve

Loop | Latest Image | Archive | About
Time of This Image: 2025-09-28 00:00
Storm Relative 16 km Geostationary Water Vapor Imagery

Loop | Latest Image | Archive | About
Time of This Image: 2025-09-28 00:10
Low-Earth Imagery
85 – 92 GHz Brightness Temperature

Loop | Latest Image | Archive | About
Time of This Image: 2025-09-28 01:18
85 – 92 GHz Polarization-Corrected Brightness Temperature

Loop | Latest Image | Archive | About
Time of This Image: 2025-09-28 11:08
37 GHz Passive Microwave Imagery

Loop | Latest Image | Archive | About
Time of This Image: 2025-09-28 11:08
37 GHz Polarization-Corrected Brightness Temperature

Loop | Latest Image | Archive | About
Time of This Image: 2025-09-28 11:08
IR/WV/Microwave RGB (IR [R], WV [G], MI89 [B])

Loop | Latest Image | Archive | About
Time of This Image: 2025-09-29 13:07
GPM DPR 2 km Radar Reflectivity

Loop | Latest Image | Archive | About
Time of This Image: 2025-09-30 21:09
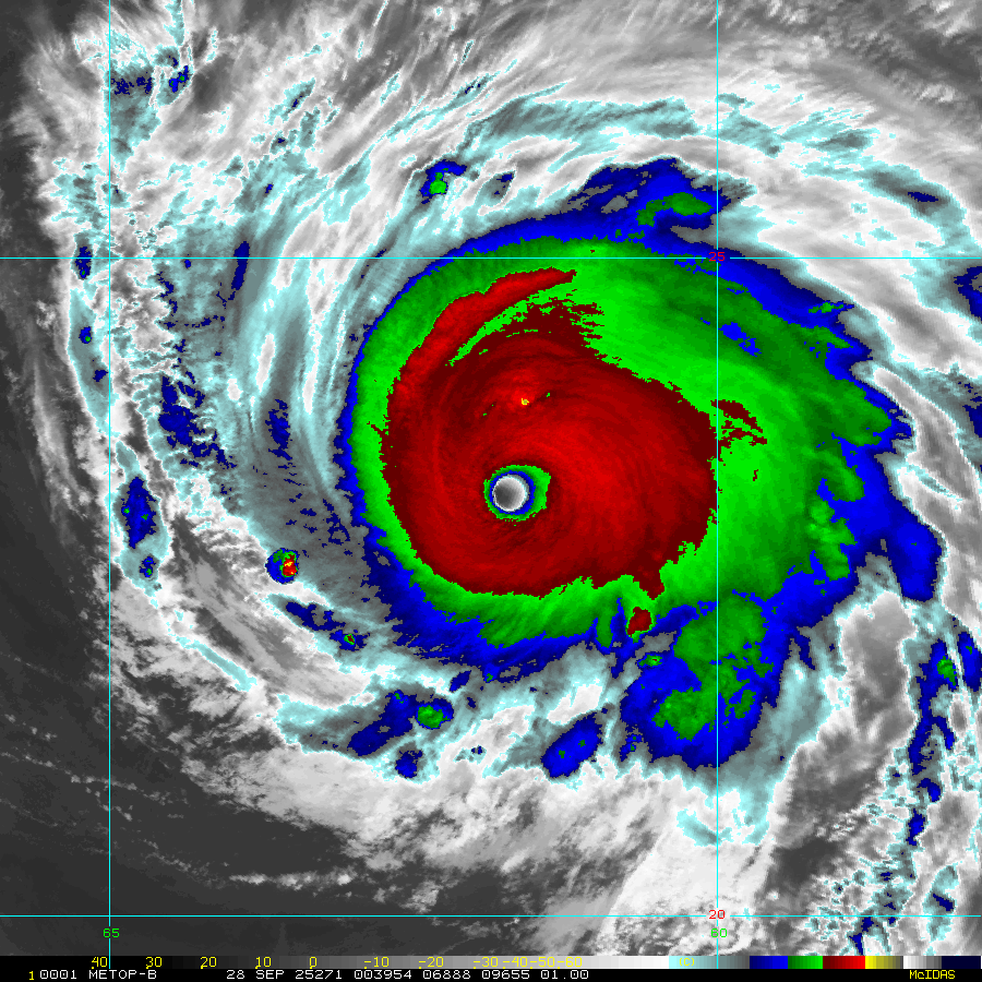
Enhanced Infrared (IR) Imagery (1 km Mercator, MODIS/AVHRR)

Loop | Latest Image | Archive | About
Time of This Image: 2025-09-28 00:39
VIIRS EDR Infrared (IR) 750m 10.763μm

Loop | Latest Image | Archive | About
Time of This Image: 2025-09-28 05:54
Visible Imagery (1 km Mercator, MODIS/AVHRR)

Loop | Latest Image | Archive | About
Time of This Image: 2025-09-28 13:28
VIIRS EDR Visible 750m 0.672μm

Loop | Latest Image | Archive | About
Time of This Image: 2025-09-28 16:49
VIIRS Day/Night Band Near-Constant Contrast

Loop | Latest Image | Archive | About
Time of This Image: 2025-09-28 05:36
Satellite Products
Advected Layer Precipitable Water

Loop | Latest Image | Archive | About
Time of This Image: 2025-09-28 00:00
GPROF Surface Precipitation Rate

Loop | Latest Image | Archive | About
Time of This Image: 2025-09-28 01:18


