Geostationary Imagery
Enhanced Infrared (IR) Imagery (4 km Mercator)

Loop | Latest Image | Archive | About
Time of This Image: 2008-05-11 00:30
Storm Relative 1 km Geostationary Visible Imagery

Loop | Latest Image | Archive | About
Time of This Image: 2008-05-11 00:30
2 km Storm Relative IR Imagery with BD Enhancement Curve

Loop | Latest Image | Archive | About
Time of This Image: 2008-05-11 00:30
Storm Relative 16 km Geostationary Water Vapor Imagery

Loop | Latest Image | Archive | About
Time of This Image: 2008-05-11 02:30
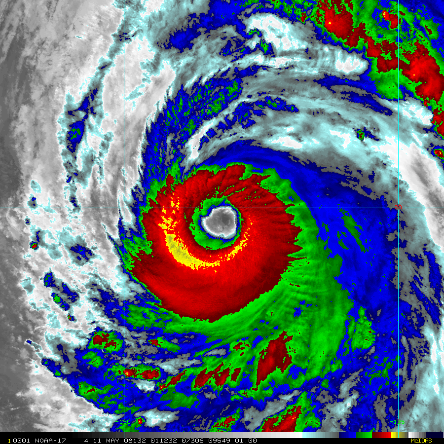
Low-Earth Imagery
Enhanced Infrared (IR) Imagery (1 km Mercator, MODIS/AVHRR)

Loop | Latest Image | Archive | About
Time of This Image: 2008-05-11 01:12
Visible Imagery (1 km Mercator, MODIS/AVHRR)

Loop | Latest Image | Archive | About
Time of This Image: 2008-05-11 01:12
Satellite Products
Storm Relative 16 km Microwave-Based Total Precipitable Water Imagery

Loop | Latest Image | Archive | About
Time of This Image: 2008-05-11 02:12

