Geostationary Imagery
Enhanced Infrared (IR) Imagery (4 km Mercator)

Loop | Latest Image | Archive | About
Time of This Image: 2014-08-03 06:32
Storm Relative 1 km Geostationary Visible Imagery

Loop | Latest Image | Archive | About
Time of This Image: 2014-08-03 06:32
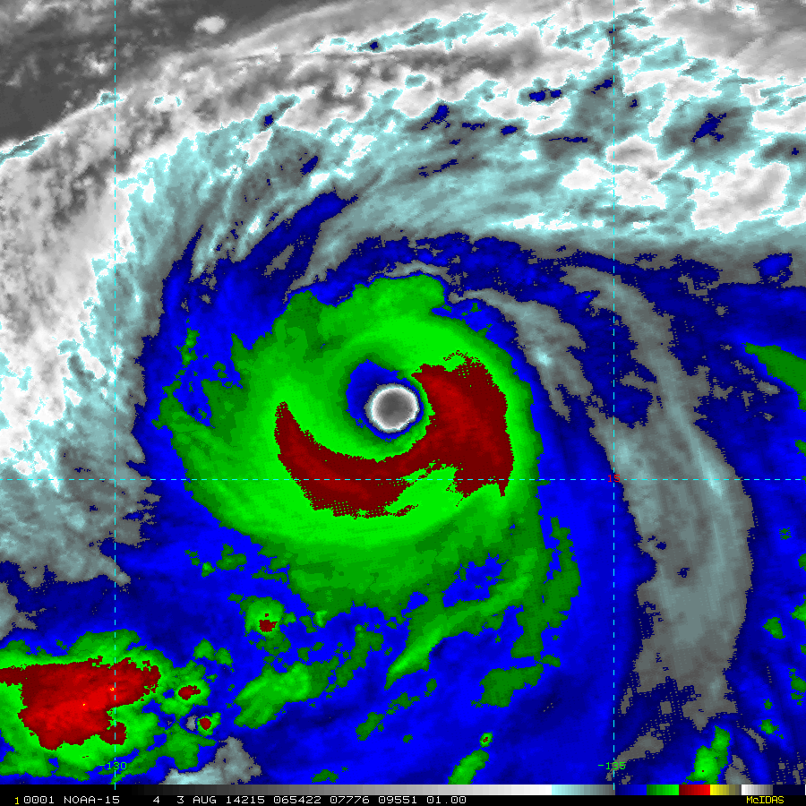
2 km Storm Relative IR Imagery with BD Enhancement Curve

Loop | Latest Image | Archive | About
Time of This Image: 2014-08-03 06:32
Storm Relative 16 km Geostationary Water Vapor Imagery

Loop | Latest Image | Archive | About
Time of This Image: 2014-08-03 08:32
Low-Earth Imagery
IR/WV/Microwave RGB (IR [R], WV [G], MI89 [B])

Loop | Latest Image | Archive | About
Time of This Image: 2014-08-03 06:19
Enhanced Infrared (IR) Imagery (1 km Mercator, MODIS/AVHRR)

Loop | Latest Image | Archive | About
Time of This Image: 2014-08-03 06:54
Visible Imagery (1 km Mercator, MODIS/AVHRR)

Loop | Latest Image | Archive | About
Time of This Image: 2014-08-03 06:54
Day/Night Visible Imagery VIIRS

Loop | Latest Image | Archive | About
Time of This Image: 2014-08-10 04:18
Enhanced Infrared (IR) VIIRS

Loop | Latest Image | Archive | About
Time of This Image: 2014-08-10 04:18
Satellite Products
Storm Relative 16 km Microwave-Based Total Precipitable Water Imagery

Loop | Latest Image | Archive | About
Time of This Image: 2014-08-03 07:47
AMSU Microwave 89 GHz Imagery (4 km Mercator)

Loop | Latest Image | Archive | About
Time of This Image: 2014-08-03 06:19


