Geostationary Imagery
Enhanced Infrared (IR) Imagery (4 km Mercator)

Loop | Latest Image | Archive | About
Time of This Image: 2017-09-15 00:00
Storm Relative 1 km Geostationary Visible Imagery

Loop | Latest Image | Archive | About
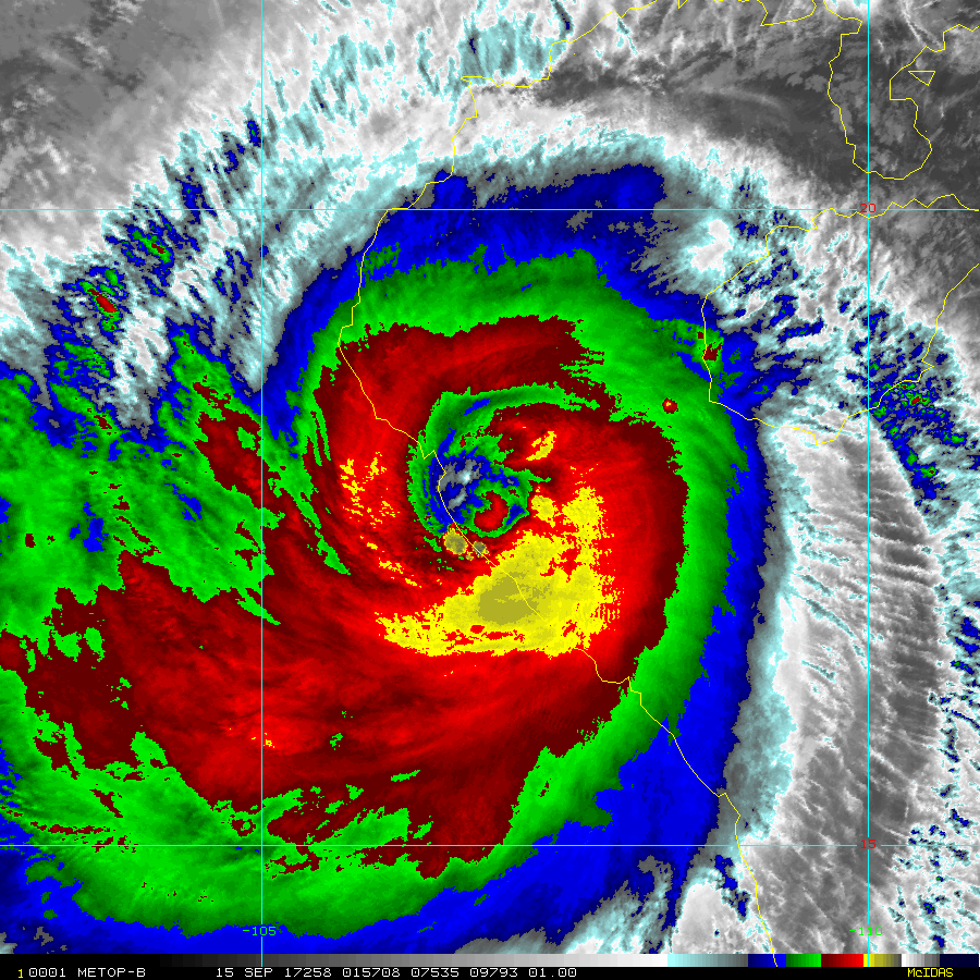
Time of This Image: 2017-09-15 00:00
2 km Storm Relative IR Imagery with BD Enhancement Curve

Loop | Latest Image | Archive | About
Time of This Image: 2017-09-15 00:00
Storm Relative 16 km Geostationary Water Vapor Imagery

Loop | Latest Image | Archive | About
Time of This Image: 2017-09-15 00:10
Low-Earth Imagery
IR/WV/Microwave RGB (IR [R], WV [G], MI89 [B])

Loop | Latest Image | Archive | About
Time of This Image: 2017-09-15 01:57
Enhanced Infrared (IR) Imagery (1 km Mercator, MODIS/AVHRR)

Loop | Latest Image | Archive | About
Time of This Image: 2017-09-15 01:57
Visible Imagery (1 km Mercator, MODIS/AVHRR)

Loop | Latest Image | Archive | About
Time of This Image: 2017-09-15 01:57
Day/Night Visible Imagery VIIRS

Loop | Latest Image | Archive | About
Time of This Image: 2017-09-15 17:50
Day/Night DNB Imagery VIIRS

Loop | Latest Image | Archive | About
Time of This Image: 2017-09-15 17:50
Enhanced Infrared (IR) VIIRS

Loop | Latest Image | Archive | About
Time of This Image: 2017-09-15 17:50
Satellite Products
Storm Relative 16 km Microwave-Based Total Precipitable Water Imagery

Loop | Latest Image | Archive | About
Time of This Image: 2017-09-15 01:21
AMSU Microwave 89 GHz Imagery (4 km Mercator)

Loop | Latest Image | Archive | About
Time of This Image: 2017-09-15 01:57


