Geostationary Imagery
Enhanced Infrared (IR) Imagery (4 km Mercator)

Loop | Latest Image | Archive | About
Time of This Image: 2025-08-16 18:00
Storm Relative 1 km Geostationary Visible Imagery

Loop | Latest Image | Archive | About
Time of This Image: 2025-08-16 18:01
2 km Storm Relative IR Imagery with BD Enhancement Curve

Loop | Latest Image | Archive | About
Time of This Image: 2025-08-16 18:00
Storm Relative 16 km Geostationary Water Vapor Imagery

Loop | Latest Image | Archive | About
Time of This Image: 2025-08-16 18:10
Low-Earth Imagery
85 – 92 GHz Brightness Temperature

Loop | Latest Image | Archive | About
Time of This Image: 2025-08-16 18:08
85 – 92 GHz Polarization-Corrected Brightness Temperature

Loop | Latest Image | Archive | About
Time of This Image: 2025-08-16 23:47
37 GHz Passive Microwave Imagery

Loop | Latest Image | Archive | About
Time of This Image: 2025-08-16 23:47
37 GHz Polarization-Corrected Brightness Temperature

Loop | Latest Image | Archive | About
Time of This Image: 2025-08-16 23:47
IR/WV/Microwave RGB (IR [R], WV [G], MI89 [B])

Loop | Latest Image | Archive | About
Time of This Image: 2025-08-19 10:00
GPM DPR 2 km Radar Reflectivity

Loop | Latest Image | Archive | About
Time of This Image: 2025-08-16 23:49
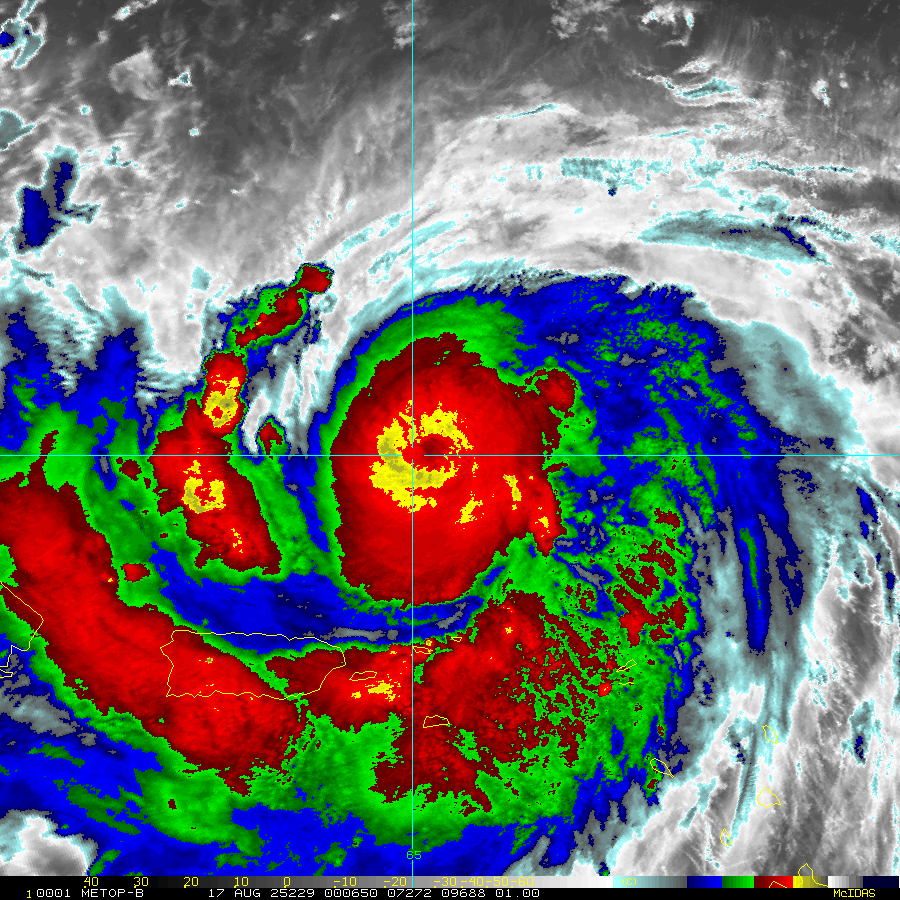
Enhanced Infrared (IR) Imagery (1 km Mercator, MODIS/AVHRR)

Loop | Latest Image | Archive | About
Time of This Image: 2025-08-17 00:06
VIIRS EDR Infrared (IR) 750m 10.763μm

Loop | Latest Image | Archive | About
Time of This Image: 2025-08-17 16:58
Visible Imagery (1 km Mercator, MODIS/AVHRR)

Loop | Latest Image | Archive | About
Time of This Image: 2025-08-17 12:54
VIIRS EDR Visible 750m 0.672μm

Loop | Latest Image | Archive | About
Time of This Image: 2025-08-17 17:42
VIIRS Day/Night Band Near-Constant Contrast

Loop | Latest Image | Archive | About
Time of This Image: 2025-08-17 05:30
Satellite Products
Advected Layer Precipitable Water

Loop | Latest Image | Archive | About
Time of This Image: 2025-08-16 18:00
GPROF Surface Precipitation Rate

Loop | Latest Image | Archive | About
Time of This Image: 2025-08-16 23:49
Geostationary Derived Motion Winds

Loop | Latest Image | Archive | About
Time of This Image: 2025-08-16 18:00
Geostationary Lightning Mapper

Loop | Latest Image | Archive | About
Time of This Image: 2025-08-16 18:00


