Geostationary Imagery
Enhanced Infrared (IR) Imagery (4 km Mercator)

Loop | Latest Image | Archive | About
Time of This Image: 2015-08-31 12:00
Storm Relative 1 km Geostationary Visible Imagery

Loop | Latest Image | Archive | About
Time of This Image: 2015-08-31 14:30
2 km Storm Relative IR Imagery with BD Enhancement Curve

Loop | Latest Image | Archive | About
Time of This Image: 2015-08-31 12:00
Storm Relative 16 km Geostationary Water Vapor Imagery

Loop | Latest Image | Archive | About
Time of This Image: 2015-08-31 12:00
Low-Earth Imagery
IR/WV/Microwave RGB (IR [R], WV [G], MI89 [B])

Loop | Latest Image | Archive | About
Time of This Image: 2015-08-31 15:16
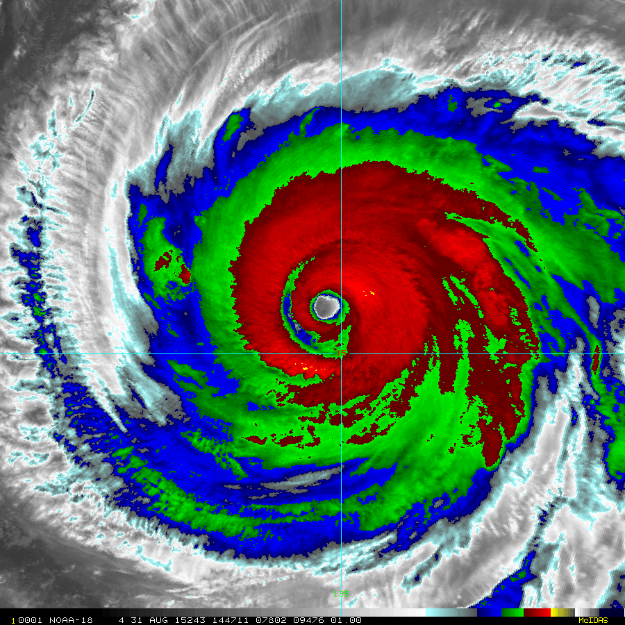
Enhanced Infrared (IR) Imagery (1 km Mercator, MODIS/AVHRR)

Loop | Latest Image | Archive | About
Time of This Image: 2015-08-31 14:47
Visible Imagery (1 km Mercator, MODIS/AVHRR)

Loop | Latest Image | Archive | About
Time of This Image: 2015-08-31 17:44
Day/Night Visible Imagery VIIRS

Loop | Latest Image | Archive | About
Time of This Image: 2015-09-09 11:29
Day/Night DNB Imagery VIIRS

Loop | Latest Image | Archive | About
Time of This Image: 2015-09-10 00:24
Enhanced Infrared (IR) VIIRS

Loop | Latest Image | Archive | About
Time of This Image: 2015-09-09 22:43
Satellite Products
Storm Relative 16 km Microwave-Based Total Precipitable Water Imagery

Loop | Latest Image | Archive | About
Time of This Image: 2015-08-31 12:44
AMSU Microwave 89 GHz Imagery (4 km Mercator)

Loop | Latest Image | Archive | About
Time of This Image: 2015-08-31 15:16


